Terrain à bâtir pour maison semi-ouverte à vendre dans un emplacement de choix à Mollem, alliant calme de la nature et accessibilité en train !
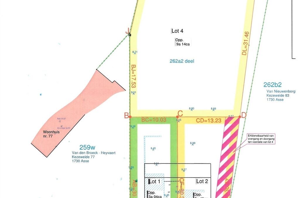
Il s’agit d’un terrain de 3a 43ca avec une largeur de 9,37 m. Le terrain à bâtir est indiqué comme lot 2 en jaune sur le plan.
Situé dans un lotissement avec les prescriptions suivantes:
La profondeur de construction est limitée à 15,00 m au rez-de-chaussée et 12,00 m à l’étage pour le bâtiment principal. La maison doit être implantée à 6,00 m en retrait de la ligne de construction.
La hauteur de la corniche est de 5,00 m (+/- 1,00 m). L’annexe peut avoir une hauteur maximale de 3,00 m.
L’inclinaison des versants de toit doit se situer entre 25° et 45°. Les toits plats sont également autorisés. La forme de toiture est libre, dans le respect des volumes minimum et maximum autorisés.
Caractéristiques importantes:
- Pas d’obligation de bâtir
- construisez à votre propre rythme
-
Orientation sud-est à l’arrière
-
Le terrain à bâtir se situe à 5 minutes à pied de la gare (à 15 min de Jette, 30 min du centre de Bruxelles!)
-
Environnement calme (pas d’autoroute, pas de survol aérien…) et présence de nature (forêt, sentiers de promenade, etc.)
Mesures inscrites au registre des mesures : non.
Souhaitez-vous obtenir plus d’informations par téléphone ou lors d’un rendez-vous au bureau?
Contactez-nous via info@structura.be ou au 02/460 80 46.
Il s’agit d’un terrain de 3a 43ca avec une largeur de 9,37 m. Le terrain à bâtir est indiqué comme lot 2 en jaune sur le plan.
Situé dans un lotissement avec les prescriptions suivantes:
La profondeur de construction est limitée à 15,00 m au rez-de-chaussée et 12,00 m à l’étage pour le bâtiment principal. La maison doit être implantée à 6,00 m en retrait de la ligne de construction.
La hauteur de la corniche est de 5,00 m (+/- 1,00 m). L’annexe peut avoir une hauteur maximale de 3,00 m.
L’inclinaison des versants de toit doit se situer entre 25° et 45°. Les toits plats sont également autorisés. La forme de toiture est libre, dans le respect des volumes minimum et maximum autorisés.
Caractéristiques importantes:
- Pas d’obligation de bâtir
- construisez à votre propre rythme
-
Orientation sud-est à l’arrière
-
Le terrain à bâtir se situe à 5 minutes à pied de la gare (à 15 min de Jette, 30 min du centre de Bruxelles!)
-
Environnement calme (pas d’autoroute, pas de survol aérien…) et présence de nature (forêt, sentiers de promenade, etc.)
Mesures inscrites au registre des mesures : non.
Souhaitez-vous obtenir plus d’informations par téléphone ou lors d’un rendez-vous au bureau?
Contactez-nous via info@structura.be ou au 02/460 80 46.
finances
- Prix
- € 150.000
- Disponibilité
- A l'acte
- Revenu cadastral
- € 2
localisation géographique
- école de l'environnement
- 785 m
bâtiment
- Construction
- 3 façades
- Largeur de façade
- 7,00 m
terrain
- Superficie de la parcelle
- 343 m²
- Largeur du terrain
- 9 m
- Profondeur du terrain
- 30 m
téléchargements
information sur l'urbanisme
- Destination
- Zone d'habitat rurale
- Permis de construire
- Indéterminé
- Permis de lotissement
- Oui
- Droit de préemption
- Oui
- Verdicts
- Non
- Inventaire as built
- Non
- G-score
- A
- P-score
- B
- 29 mai 2025