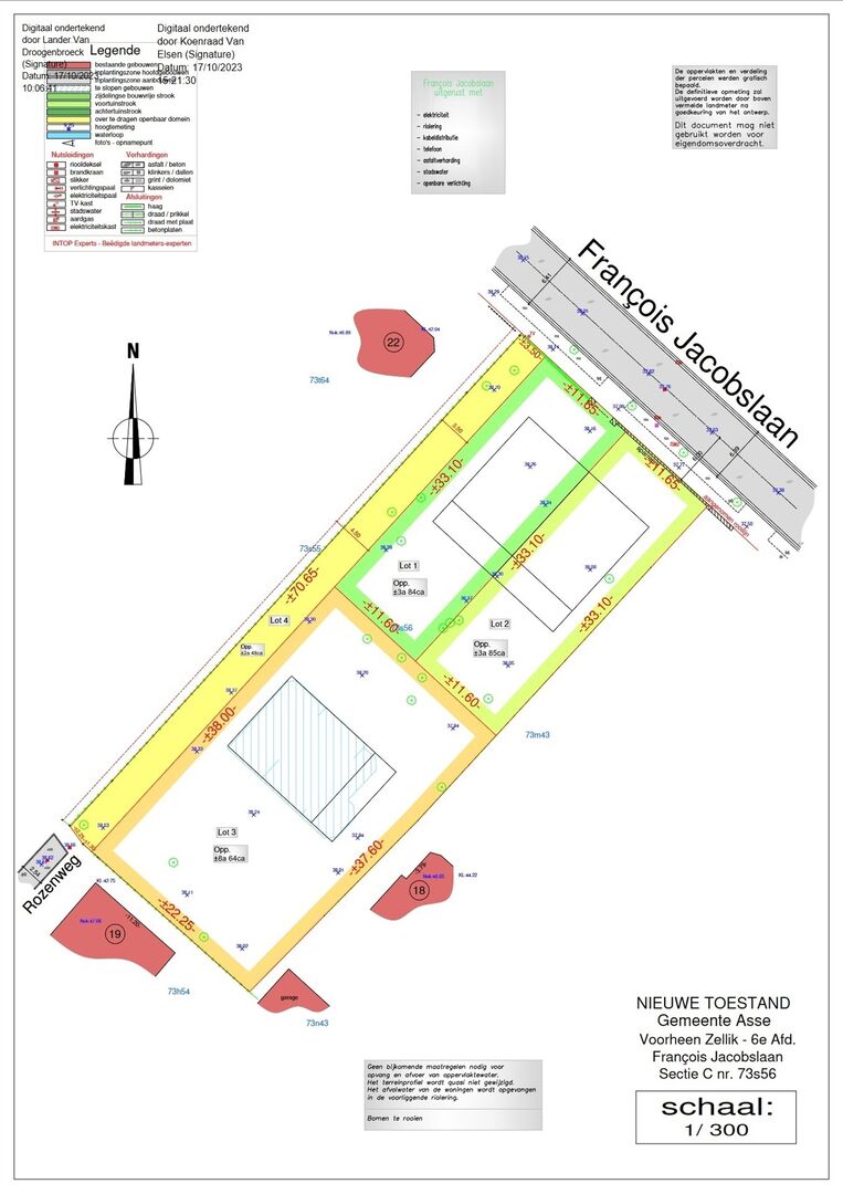
Terrain à construire pour une maison quatre façades dans une rue calme près du centre de Zellik.
Il s'agit d'un terrain de 8a 64ca avec une largeur de 38m. (terrain marqué en orange sur le plan)
Situé dans un lotissement avec les règles suivantes :
La profondeur de construction est de 15,00 m maximum au rez-de-chaussée et de 12,00 m au premier étage pour le bâtiment principal. Les bâtiments seront en retrait de 3,00 m par rapport à la nouvelle ligne de construction.
La hauteur de la corniche sera de 5,00 (+/-1,00) m. En cas d'utilisation d'un toit plat, la hauteur de la corniche est de 6,50 m maximum. L'extension a une hauteur maximale de 3,50 m.
La pente des surfaces de toit est comprise entre 25° et 40°. Les toits plats sont également autorisés. La forme du toit peut être choisie librement dans les limites du volume minimal et maximal du bâtiment.
Mesures inscrites au registre des mesures : non.
Vous souhaitez obtenir plus d'informations par téléphone ou au bureau ? Contactez-nous à info@structura ou au 02/460 80 46.
Il s'agit d'un terrain de 8a 64ca avec une largeur de 38m. (terrain marqué en orange sur le plan)
Situé dans un lotissement avec les règles suivantes :
La profondeur de construction est de 15,00 m maximum au rez-de-chaussée et de 12,00 m au premier étage pour le bâtiment principal. Les bâtiments seront en retrait de 3,00 m par rapport à la nouvelle ligne de construction.
La hauteur de la corniche sera de 5,00 (+/-1,00) m. En cas d'utilisation d'un toit plat, la hauteur de la corniche est de 6,50 m maximum. L'extension a une hauteur maximale de 3,50 m.
La pente des surfaces de toit est comprise entre 25° et 40°. Les toits plats sont également autorisés. La forme du toit peut être choisie librement dans les limites du volume minimal et maximal du bâtiment.
Mesures inscrites au registre des mesures : non.
Vous souhaitez obtenir plus d'informations par téléphone ou au bureau ? Contactez-nous à info@structura ou au 02/460 80 46.
finances
- Prix
- € 298.000
- Disponibilité
- A l'acte
localisation géographique
- école de l'environnement
- 1.225 m
bâtiment
- Construction
- 4 façades
- Largeur de façade
- 10,00 m
terrain
- Superficie de la parcelle
- 864 m²
- Largeur du terrain
- 38 m
- Profondeur du terrain
- 22 m
- Jardin
- Oui
téléchargements
information sur l'urbanisme
- Destination
- Zone d'habitat
- Permis de construire
- Indéterminé
- Permis de lotissement
- Oui
- Droit de préemption
- Oui
- Verdicts
- Non
- Inventaire as built
- Non
- G-score
- A
- P-score
- A